
Olmedo y su hijo Tomás conquistaron el podio en México tras 1.600 km de carrera
Tras largar en el puesto 25, Olmedo, su hijo y su equipo completaron 22 horas de competencia para quedarse con el tercer lugar en la categoría Pro UTV FI en México.


Lo oficializó hoy en el Boletín Oficial.
Deportes21/11/2023
Ivana Chañi
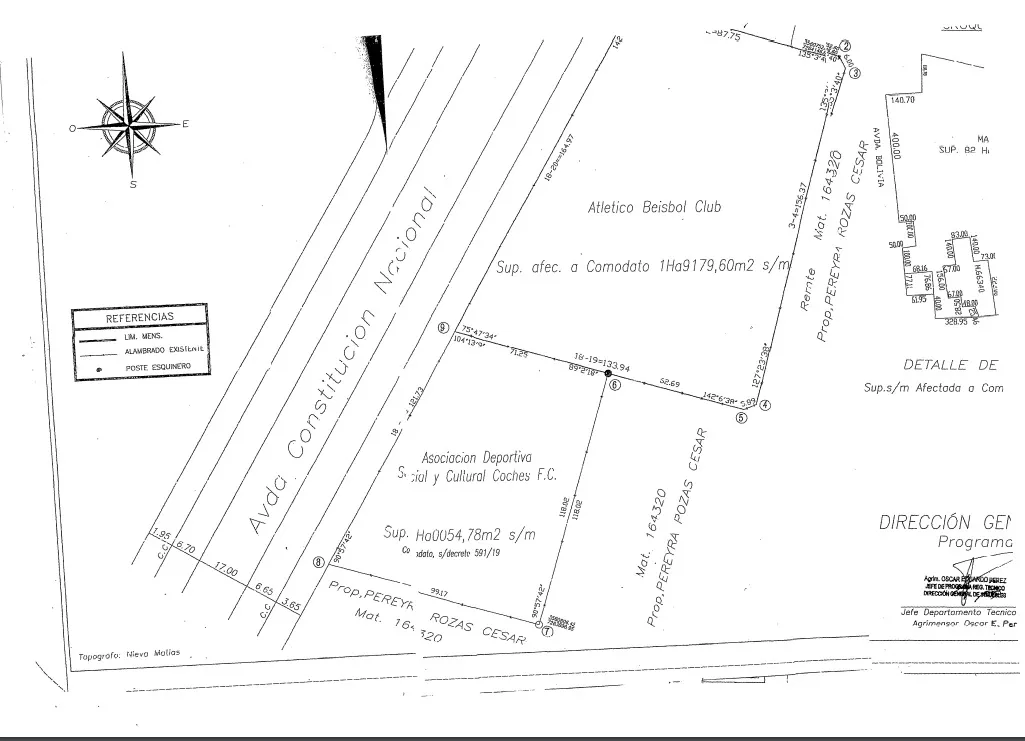
Mediante el Decreto N° 745 -publicado este martes en el Boletín Oficial – el gobernador, Gustavo Sáenz, entregó en comodato una hectárea de 9179,60 m2 -del inmueble de mayor extensión identificado con la Matrícula Catastral Nº 164.320 ubicado en la zona norte de la ciudad Capital- en beneficio de la Asociación Atléticos Béisbol Club, por el plazo de cinco años.
Según figura en el Anexo del referido Decreto, el terreno es propiedad de César Pereyra Rozas en inmediaciones a la Avenida Constitución Nacional.
La norma fue refrendada por el gobernador, Gustavo Sáenz y el ministro de Infraestructura, Sergio Camacho.



Tras largar en el puesto 25, Olmedo, su hijo y su equipo completaron 22 horas de competencia para quedarse con el tercer lugar en la categoría Pro UTV FI en México.

Los Infernales comenzarán a desandar este lunes en la provincia una nueva temporada en la segunda división del básquet nacional. Desde las 21.30 recibirá al elenco chaqueño de Villa San Martín en el Estadio Delmi.

Aparecieron pintadas con amenazas en el estadio de Central Norte. El episodio ocurre en medio de nuevos conflictos entre facciones de la barra y a pocos días del clásico ante Juventud.

Portugal y Noruega consiguieron su clasificación a la Copa del Mundo 2026. Portugal goleó 9 a 1 a Armenia sin Cristiano Ronaldo. Mientras que Noruega venció 4 a 1 a Italia con un doblete de Erling Haaland.

Racing le ganó 1 a 0 a Newell's con un gol de Conechny en la última jugada. Con este resultado, la "Academia" aseguró su boleto a los playoffs del Clausura y define de local.

Los cruces provisionales de octavos de final enfrentan a Boca con Sarmiento y, en un duelo caliente, a Unión con River. La Liga Profesional también confirmó que la final será el 13 de diciembre en el Estadio Madre de Ciudades.

A solo cuatro días de dejar la casa que compartían, el cantante fue visto paseando con otra mujer. Mariela rompió el silencio: “Estoy muy triste, me enteré por los medios”.

Los cruces provisionales de octavos de final enfrentan a Boca con Sarmiento y, en un duelo caliente, a Unión con River. La Liga Profesional también confirmó que la final será el 13 de diciembre en el Estadio Madre de Ciudades.

El ministro salteño pidió conformar un bloque que defienda a las provincias frente a los polos políticos nacionales. “Es necesario que haya voces que expresen los intereses provinciales”, afirmó.

La concejal apuntó contra las “extrañas” condiciones por las que la selección se demora y reafirmó que votará en contra si Martín Del Frari resulta electo.

Ecuador votó cuatro cambios impulsados por Noboa: nueva Constitución, bases militares extranjeras, reducción del Parlamento y fin del financiamiento estatal a partidos. Todas fueron rechazadas.